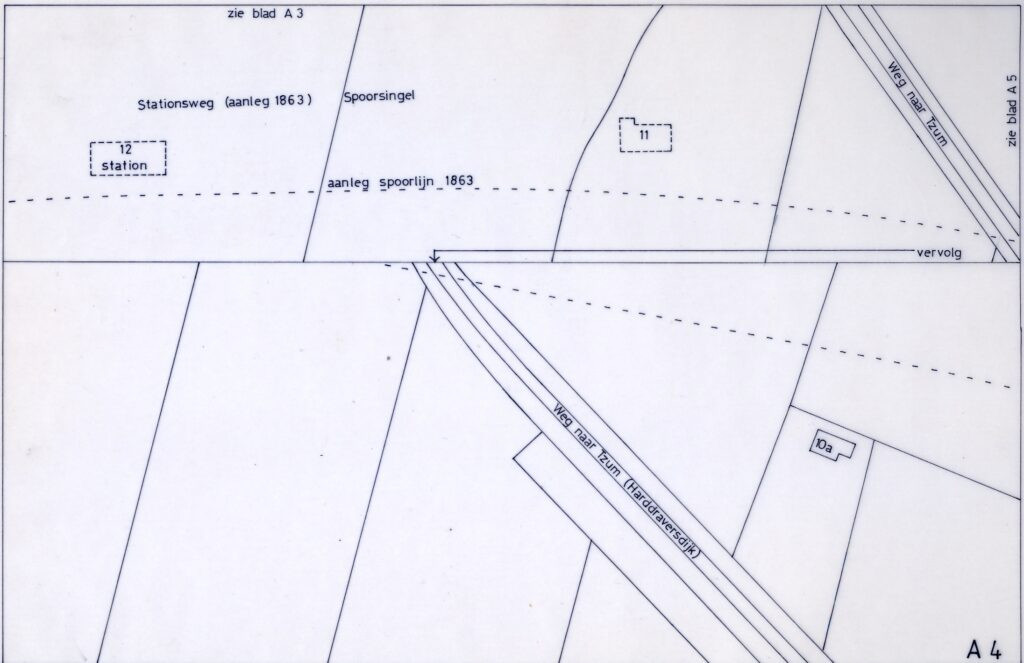
Stationsweg 4
A-11-01-00299
| Beschrijving: | Plaats waar in 1863 het spoor en het Station zal worden aangelegd. |
| Datering: | 1850 |
| Collectie: | Kreger. H |
| Aanwezig in het HCF?: | JA |
| Bron: | Henk Kreger |
| Pand op foto: | Stationsweg 4 (Station N.S.) |
| Beschrijving: | Plaats waar in 1863 het spoor en het Station zal worden aangelegd. |
| Datering: | 1850 |
| Collectie: | Kreger. H |
| Aanwezig in het HCF?: | JA |
| Bron: | Henk Kreger |
| Pand op foto: | Stationsweg 4 (Station N.S.) |